Entre Dos
Portada
Opinión
Deportes
Salud
Economía
Mundiales
Medioambiente
Tecnología
Farándula
Portada
Portada
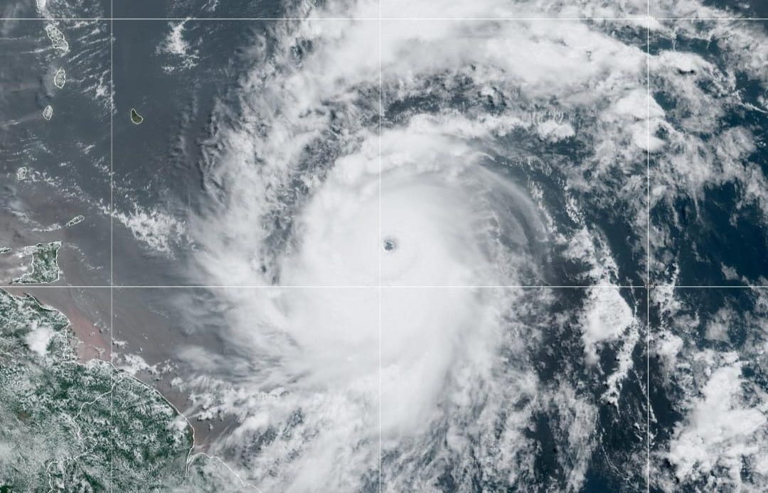
Meteorología emite nueva alerta ante el paso del huracán Beryl en el Caribe
Gobierno
Portada
Abinader: lo principal es salvar vidas ante los efectos del huracán Beryl
Urgente
Portada
El huracán Beryl alcanzó la categoría 4 en la escala Saffir-Simpson, con vientos que superan las 130 millas por hora
Urgente
Portada
RD le ha tomado prestados US$1,163.8 millones a banco centroamericano
Urgente
‹
1
2
...
293
294
295
296
297
298
299
...
590
591
›